Skip To Content

6019 England Street

Houston, TX 77021
  • $575,000
  • STATUS: Active
  • ID#: 82852385
UPDATED: 51 min ago
$575,000
  • 0
    BEDS
  • 0.23
    ACRES
  • 0
    BATHS
  • 0
    1/2 BATHS
Neighborhood:
Type:
Vacant Land / Lots
County:
Area:

School Information

Elementary School:
High School:
School District:

Description

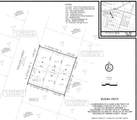
This turnkey, shovel-ready 6-lot subdivision in Houston’s University Area (inside the 610 Loop) offers a prime development opportunity with fully approved plat, civil engineering, and architectural plans for six single-family homes. Fully entitled and permitted, this project is ready for immediate construction in a high-growth residential market. Located just 10 minutes from the Texas Medical Center and near Downtown Houston, it provides easy access to major highways, including 288 & 610 Loop. Surrounded by ongoing new construction, this area continues to see strong demand for residential development, making it ideal for builders, developers, and investors seeking a profitable, ready-to-build project. With permits already in place, there’s no waiting—take over this approved development and start building immediately. Call today to review the plans and secure this exceptional opportunity in one of Houston’s fastest-growing markets.

Monthly Payment Calculator



© 2026 Houston Realtors Information Service, Inc. All rights reserved. All information provided is deemed reliable but is not guaranteed and should be independently verified. IDX information is provided exclusively for consumers' personal, non-commercial use and may not be used for any purpose other than to identify prospective properties consumers may be interested in purchasing. Data last updated 2026-02-16T21:18:05.74.
www.armstrongpropertiestx.com/homes/166919932
Print Image

6019 England Street Houston, TX 77021

  • Price: $575,000
  • Status: Active
  • On Site: Days
  • Updated: 51 min ago
  • ID#: 82852385
0
Beds
0
Baths
0
½ Baths
0.23
Acres
Neighborhood:
Buena Vista Estates
County:
Harris
Area:
4 - South
Elementary School:
Peck Elementary School
Middle School:
Cullen Middle School (Houston)
High School:
Yates High School
School District:
Houston
Property Description
This turnkey, shovel-ready 6-lot subdivision in Houston’s University Area (inside the 610 Loop) offers a prime development opportunity with fully approved plat, civil engineering, and architectural plans for six single-family homes. Fully entitled and permitted, this project is ready for immediate construction in a high-growth residential market. Located just 10 minutes from the Texas Medical Center and near Downtown Houston, it provides easy access to major highways, including 288 & 610 Loop. Surrounded by ongoing new construction, this area continues to see strong demand for residential development, making it ideal for builders, developers, and investors seeking a profitable, ready-to-build project. With permits already in place, there’s no waiting—take over this approved development and start building immediately. Call today to review the plans and secure this exceptional opportunity in one of Houston’s fastest-growing markets.
Property Features

Disclosures None List AOR Houston Association of Realtors Lot Features Cleared Subdivision Possible Use Residential Single Family Sewer Public Sewer Tax Annual Amount 1217 Tax Legal Description LT 5 BLK 1 BUENA VISTA ESTATES Tax Year 2024 Utilities Cable Available Electricity Available Natural Gas Available Phone Available Water Source Public

Listing information © 2026 Houston Association of REALTORS® MLS.
Listing courtesy of MRG Realty, LLC.: .



© 2026 Houston Realtors Information Service, Inc. All rights reserved. All information provided is deemed reliable but is not guaranteed and should be independently verified. IDX information is provided exclusively for consumers' personal, non-commercial use and may not be used for any purpose other than to identify prospective properties consumers may be interested in purchasing. Data last updated 2026-02-16T21:18:05.74.
 
https://bt-photos.global.ssl.fastly.net/harmls/1280_boomver_1_82852385-2.jpg https://bt-photos.global.ssl.fastly.net/harmls/1280_boomver_1_82852385-2.jpg https://bt-photos.global.ssl.fastly.net/harmls/1280_boomver_1_82852385-2.jpg
Logo
Armstrong Properties
115 West Buck
Caldwell TX, 77836